Топографический план земельного участка
- Главная
- Топографический план земельного участка
Если вы не знаете, где получить топографический план участка — обратитесь в нашу компанию. Мы проводим измерения на любых площадях.
Топографический план земельного участка: общие сведения о работе
Топографические работы играют важную роль в разных сферах деятельности человека. Без наличия топографической документации сложно возведение сооружений и создание ландшафта.
Чтобы создать топографический план земельного участка наши геодезисты проводят съемку местности и определяют планово-высотные координаты объектов. Сам топоплан — это уменьшенное изображение земной поверхности, с соблюдением всех размеров с учетом масштаба.
Мы указываем на чертеже:
- здания и сооружения;
- дороги;
- рельеф местности;
- объем насаждений;
- границы населенных пунктов или земельных участков;
- информацию о системе координат (для последующего установления координат любого объекта на местности);
- водоемы.
Главной особенностью топоплана является возможность определить высотную отметку в любой точке чертежа.
Топографический план участка: сфера применения
Топографический план земельного участка применяется в разных сферах. Соответственно, чертежи составляются в разных масштабах. Самым востребованным является 1:500. Его еще называют “пятисотка”.
У нас заказывают топографический план участка для:
- создания проекта на строительство зданий и линейных сооружений;
- ландшафтной архитектуры;
- реконструкции зданий и сооружений;
- контроля этапов застройки;
- получения информации об объемах насаждений;
- проведения вертикальной планировки территории;
- создания или обновления навигационных карт;
- проведения инженерных коммуникаций на участке;
- оформления собственности или аренды земельных участков.
Мы используем масштаб 1:500 на небольших территориях. Если речь идет о более крупных объектах (промышленного назначения) или съемке целого населенного пункта — мы рекомендуем клиенту создание топографических планов в м 1:1000, 1:2000. В любом случае, мы составляем графические документы в соответствии с масштабом, указанным в техническом задании клиента.
Также мы используем масштабы 1:1000 и 1:2000 для:
- создания документации для строительства автомобильных дорог;
- съемки на промышленных объектах (открытых разработках полезного ископаемого).
Для проведения съемки местности мы используем только современное оборудование: тахеометры, нивелиры, трассоискатели, GPS-приемники. Каждый из наших инструментов регулярно проходит проверки на точность и исправность.
Какие документы необходимы для заказа проведения работ?
Чтобы заказать топографический план участка у нас, вам пригодятся следующие документы:
- паспорт;
- техническое задание;
- документы о владении участком: свидетельство об аренде или покупке;
- существующие чертежи по участку (при наличии).
Мы рекомендуем вам не лениться и грамотно составить техническое задание. Опишите все детали и пожелания. Мы создаем топографический план территории строго по техническому заданию, а значит можем не учесть устных просьб. Грамотное задание позволит вам остаться довольным изысканиями наших специалистов.
Перед началом строительства необходимо согласовать проект в контролирующих органах Московской области. В перечне документов, необходимых для согласования присутствует инженерно-топографический план.
Этапы создания топографической документации
Чтобы создать топографический план земельного участка, наши специалисты проводят целый ряд работ. Мы стараемся работать оперативно, поэтому разделяем выполнение изысканий на 3 этапа:
- подготовку. На этой стадии мы решаем все организационные моменты: заключаем договор на проведение работ, просчитываем стоимость, изучаем тонкости технического задания и условия проведения съемки, собираем архивную документацию по объекту, определяемся с необходимым оборудованием;
- полевые работы. Команда наших инженеров выезжает на местность, создает съемочное обоснование и выполняет съемку местности. Полученные данные передаем в отдел обработки информации;
- камеральная обработка результатов. Наши сотрудники обрабатывают полученные данные: выполняют уравнивание, вычислительные работы, принимаются за создание чертежей.
После проведения изысканий мы создаем технический отчет. Именно его мы предоставляем нашим клиентам. Наш отчет состоит из:
- общих сведений об изучаемой территории;
- описания выполненных работ;
- графической части: таблиц, планов.
Мы составляем чертежи в бумажном и электронном варианте. Цифровой топографический план наши инженеры предоставляют в формате dwg и pdf. Вы всегда сможете распечатать дополнительный экземпляр документов или предоставить файлы для строительных организаций.
Сроки годности топографической документации
Топоплан земельного участка имеет срок годности — 1 год. По истечению этого срока документацию необходимо пополнять или делать съемку повторно. Если документация уже не актуальна, шансы на согласование проекта с контролирующими органами малы. Мы рекомендуем делать топографические работы, если вы уверены, что в ближайшие годы строительство начнется. В противном случае, это трата времени и денег.
Мы работаем с допуском СРО и юридически отвечаем за проведенные изыскания. У нас нет проблем с законодательством: изыскания выполняются согласно государственных стандартов.
Прайс нашей компании на топографические работы
В нашей компании приблизительные цены на изготовление топографического плана составляют:
УслугаЦена, рубРазработка топографического плана частного участкаот 10000Разработка топографического плана сельхозугодийот 6000/гаРазработка топографического плана участка с неплотной застройкой (деревня, город)от 10000/гаРазработка топографического плана участка с промышленной застройкойот 20000/га
Вопрос стоимости услуг — наиболее задаваемый клиентами. Мы не можем сказать вам цену, пока не изучим техническое задание, параметры объекта и ряд других факторов. Мы стараемся составить стоимость услуг для клиента в первый день после заказа. Основными факторами, от которых зависит цена топографического плана земельного участка, являются:
- цель проведения работ;
- объем работ. Съемка участка под застройку и составление документации по целому населенному пункту — разные работы, имеющие свои тонкости;
- особые пожелания клиента;
- детализация чертежей;
- вид работ. Если вам необходимы геологические и геодезические изыскания — вы можете сделать комплексный заказ;
- особенности рельефа. Большие перепады высот, подтопления, густая застройка местности — все эти факторы усложняют проведение работ;
- срочные изыскания. Бывают ситуации, когда клиенты просят нас выполнить исследования и предоставить результаты в ближайшие 3-4 дня. Это сложно выполнить, с учетом проведения заказов, стоящих в очереди. Но мы стараемся пойти навстречу: проводим исследования по графику и после — занимаемся вашим объектом;
- геолокация местности. Если земельный участок находится на окраине Московской области, стоимость работ будет немного дороже. Мы включаем в цену затраты топлива на дорогу к вам.
Читать еще: Кредит на покупку земельного участка «Садовод» в Россельхозбанке
Достоинства компании “Московская геодезия”
Наши клиенты уверены в оперативности и высоком качестве работ, проводимых нашими геодезистами. Обратившись к нам впервые, 99% клиентов начинают работать с нами на постоянной основе.
Заказывая у нас инженерно-топографический план земельного участка, вы гарантировано получите:
- оперативность работы с вашим объектом (с первого дня составляем договор, считаем стоимость, изучаем документы и условия для проведения топографической съемки);
- профессионализм наших специалистов;
- измерения с помощью современного оборудования;
- грамотный технический отчет + цифровую копию в формате dwg;
- составление топографического плана участка местности в соответствии с нормативными документами;
- гарантию согласования проекта с контролирующими органами;
- доступные цены на услуги (делаем регулярные сезонные акции, скидки постоянным клиентам);
- индивидуальное решение задач любой сложности.
Если у вас есть вопросы о деталях проведения работ нашей компанией, желаете узнать приблизительную стоимость услуг или посоветоваться — свяжитесь с нашим специалистом “Московская геодезия”. Мы с радостью поможем вам. В нашей компании консультация бесплатна.
Топографический план (Топоплан) земельного участка
Топографическая съемка участка с составлением топоплана от 10 000 р
Экономим ваши деньги.
Постоянным клиентам — скидки.
Качественное исполнение
и грамотное оформление.
Мы очень внимательно относимся
к каждому клиенту.
Чтобы заказать топографический план земельного участка, необходимо определить что это, кто его составляет и для чего он нужен, в целом.
Топографический план земельного участка составляют геодезисты на основе полученных данных при выполнении геодезической съемки. Измерения планово-высотных координат и длин позволяют составить эти документы.
Где используется инженерно-топографический план местности?
Суть топографии — детально отобразить на чертеже рельеф участка земной поверхности. Топографический план местности, выполненный нашей компанией, пригодится для:
- проложения инженерных сетей (газификация, электрификация, водопровод, теплосети);
- составления (обновления) навигационных карт;
- проекта на строительство, включая съемку этапов застройки;
- создания ландшафтов;
- съемки деревьев.
Для получения достоверных данных об участке земли наши специалисты выполняют съемку современным оборудованием. Приборы регулярно проходят поверки на исправность и сертифицированы.
Важно! Топографическая документация является предпроектной. Для получения разрешения на строительство проект необходимо утвердить в управлении архитектуры. Топосъемка прилагается к перечню документов в обязательном порядке.
Топографический план участка: содержание чертежей, масштабы, приборы
Топопланы выполняются для разных задач. Топографический план местности, выполненный нашими специалистами, включает:
- данные о привязке к опорным пунктам государственной геодезической сети;
- информацию, о системе координат;
- перепады высотных отметок;
- границы земельных участков;
- данные о всех объектах на участке (здания, сооружения, инженерные сети, деревья, дороги).


В зависимости от цели заказа, его параметров и просьб заказчика, составление топографического плана участка местности выполняется в разных масштабах. Обычно наши инженеры создают графику в масштабе 1:500 (пятисотка), но при необходимости, выполняем чертежи в мелких масштабах — 1:1000, 1:2000.
Мы используем более мелкие масштабы для:
- составления проектов на строительство автомобильных и железнодорожных дорог;
- проектирования строительства в сложных условиях (горная местность).
Топографические измерения наших специалистов также пригодятся для:
- подготовки плана межевания;
- съемки зданий для проекта реконструкции;
- получения разрешения на строительство;
- обновления имеющейся документации.
Если вы не знаете где получить топографический план земельного участка — обратитесь в компанию “СГИ”. Мы работаем оперативно и сможем озвучить стоимость услуг в течение 2 часов после заказа. Коммерческое предложение отправляем в день заказа.
Стоимость топографического плана земельного участка
Вид работед. измеренияЦена, рубТопографический план для газификации, разрешения на строительства и ГПЗУ
Стоимость зависит от района проведения работдо 10 соток9 000от 15 до 20 соток11 000от 10 до 15 соток10 000Топографический план незастроенного и незаросшего участка, масштаб 1:5001 категория сложности1 га8 0002 категория сложности1 га12 0003 категория сложности1 га16 000Топографический план промышленной территории, масштаб 1:5001 категория сложности1 га12 0002 категория сложности1 га17 0003 категория сложности1 га25 000Топографический план промышленной территории, масштаб 1:5001 категория сложности1 га17 0002 категория сложности1 га26 0003 категория сложности1 га34 000
Не изучив особенности местности, сложно назвать какой будет цена топографического плана земельного участка. Каждый объект имеет свои параметры, а съемка выполняется для разных целей. Мы просчитываем стоимость топографического плана земельного участка индивидуально для каждого клиента, учитывая факторы:
- цель заказа;
- расположение объекта. Мы выполняем геологические и геодезические работы в Московской области. Цена изысканий в Москве дешевле, чем на окраине области. Связано с затратами времени и средств на дорогу к объекту;
- объем работ. На участке с большой площадью нашим инженерам придется постараться, чтобы выполнить качественную съемку и составить топоплан, не упустив деталей;
- застроенность местности. Если на земельном участке много построек — геодезистам сложно работать из-за плохой видимости объектов;
- время для выполнения заказа. Мы выполняем заказы в порядке очереди. Если необходимо срочно сделать топографический план — это возможно. Работникам придется потрудиться, чтобы не заставлять ждать других клиентов, и успеть все. За сверхскорость и старание придется доплатить;
- точность (детализация) наблюдений. В отличии от съемки местности, подеревная съемка 10 га требует максимум внимания и терпения.
Читать еще: Срок регистрации оружия после покупки
Стоимость создания топоргафического плана небольшого учатскав Москве или Московской области — от 10 000 рублей.
Дополнительно на цену услуг в нашей компании влияет:
- вид заказа. Если вы заказываете комплекс геодезических и геологических изысканий — стоимость будет меньше, чем цены этих услуг по отдельности;
- если вы постоянный клиент. Если вы обращаетесь к нам не в первый раз — мы гарантируем скидки;
- акции и скидки. Если мониторить сайт компании “СГИ”, вы можете узнавать о специальных предложениях и сэкономить средства.
После принятия заказа мы просчитываем приблизительную стоимость в течении 2-3 часов. На сайте “СГИ” вы можете самостоятельно просчитать приблизительную стоимость, указав основные параметры заказа.
Чтобы заказать инженерно-топографический план земельного участка вам пригодятся документы на владение землей. Нас устроит свидетельство о покупке или аренде участка.
Мы проводим работы не отклоняясь от поставленных задач!
Рекомендуем грамотно составить техническое задание. Это поможет нам понимать цель работ и не упустить деталей, а вам — остаться довольным клиентом.
Как составляется топоплан нашими инженерами?
За долгие годы работы в сфере инженерных изысканий наши специалисты составили очередность действий для качественного выполнения заказов. Мы выполняем топоплан в 3 шага:
- Подготовка. Наши инженеры получают заказ, просчитывают стоимость, составляют договор на проведение работ, изучают архивную документацию по объекту и детали заказа, определяются с оборудованием для съемки.
- Полевые работы. На объекте привязываемся к опорным пунктам, согласно техническому заданию выполняем съемку местности, передаем полученные данные в камеральный отдел.
- Обработка результатов. Наши профессионалы выполняют вычисления, уравнивания, принимаются за составление графических документов.
Результатом всей проделанной работы является технический отчет. Именно его получает клиент по окончанию работы. Отчет составляется в бумажном и электронном виде. Цифровой топографический план предоставляются в формате pdf и dwg. В нашем техническом отчете описывается:
- общая характеристика местности;
- детали работ, которые выполнялись;
- графические дополнения: планы, разрезы.
Дополнительные сведения о проведении топографической съемки местности
Мало кто знает, что топоплан земельного участка имеет срок годности. Результаты нашей работы актуальны в течении трех лет. По истечению этого срока графические чертежи считаются недостоверными и требуют обновления.
Наши специалисты работают с допуском СРО. Мы несем юридическую ответственность за проведение изысканий. Качество исследований в нашей компании стоит на первом месте. Нет ни одного случая, когда мы привлекались к ответственности за выполнение некачественных работ.
Мы выполняем создание топографических планов согласно техническому заданию и соответствующим нормативным документам.


Достоинства компании “СГИ”
Мы выполняем только достоверные изыскания в Москве и области. Именно поэтому у нас делают повторные заказы и рекомендуют как специалистов в решении инженерных задач.
Заказывая наши услуги, вы получите:
- оперативный просчет стоимости и изготовление топографического плана;
- работу настоящих профессионалов на вашем участке;
- съемку современным сертифицированным оборудованием;
- техническое заключение в удобном формате;
- удобную ценовую политику (скидки, сезонные акции);
- гарантию прохождения экспертизы;
- составление документации согласно нормативных документов и ГОСТов.
При необходимости, наши специалисты проводят исследования в выходные и праздничные дни.
Если у вас есть вопросы о том, как создается топографический план территории — задайте их нашему специалисту. Мы бесплатно проконсультируем вас, прикинем приблизительную стоимость услуг и будем рады работе с вами.
Реализованные проекты

Топографический план Масштаб 1:500, Московская обл, район Раменский, деревня Петровское
Топографический план участка

Доброго всем времени суток! Настало время разобраться с топографическим планом. Что это такое и чем его “закусывают” и с чем его едят?
И вообще, действительно ли так уж нужно обращаться в геодезическую службу или к частникам (с лицензией), чтобы вам «нарисовали» примитивный план собственного кусочка земли российской?
Топографический план – а это что?
Да, да, да и еще раза да – без топографического плана участка никто и никогда не дозволит вам выстроить не то что дом мечты, а избушку на курьих ножках (даже если ваша любимая теща любит на досуге полетать в нано-ступе).
Наука определяет понятие «топография» как раздел геодезии, занимающийся измерением мамы-Земли и изображением ее на картах. Поскольку нас интересует топографический план, очевидно, замеры коснуться не всей голубой планеты, а только того ее кусочка, который является вашей единой и неделимой собственностью.
Тем более что, по сути, топографический план очень даже не «примитивная» схемка, а чертежная совокупность горизонталей, обозначений всех элементов и объектов, а также рельефных отметок, расположенных на вашей территории.
! Кстати, часто застройщики не знают, чем топографический план участка отличается от ситуационного. В принципе, разница между ними всего лишь в масштабах: ситуационный выполняют в масштабе М 1: 2 000, 1: 1 000 и используют для создания плана коммуникаций и технических условий. !
Для любого плана важно правильно выбрать масштаб. Когда делают топографический план (а занимаются этим, как мы уже выяснили, ребята-геодезисты) для разработки строительного плана обычно используют «пятисотку». Так на профессиональном сленге работники нивелира и теодолита (без них геодезист, что космонавт без скафандра) называют масштаб 1: 500 (т.е. 1 см на бумаге соответствует 5 м на земле).
Читать еще: Хранение оружия без разрешения, что за это будет, какая статья закона
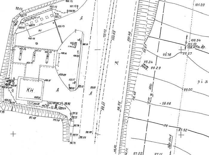
Выглядит топографический план так:

Съемка без кино и фото.
Очевидно, чтобы получить данные, по которым можно будет начертить план вашей территории, сначала необходимо произвести определенные замеры, например:
Если же вы стали обладателем не каких-то жалких нескольких соток, а энной части области (да, уж, везет же некоторым!), в таком случае геодезист выйдет «в поле» не на своих двоих, а как минимум, полетает на легком самолетике, выполняя аэрофотосъемку. Или использует беспилотник со специальной встроенной геодезической техникой.
Но если это не ваш случай, тогда все будет проще и дешевле. Поэтому перед тем как приступить к «полевым» работам (так называют измерения на местности) геодезисты делают разбивочную основу – подспорье этой самой топографической съемки.
И состоит это «подспорье» из строительной сетки, поперечных и продольных осей, показывающих положения зданий и их габаритов. Строительная сетка разбивает бумагу, на которой будет выполнен план на прямоугольники и квадраты со стороной 100-200 м (основная сетка) и 20-40 м (дополнительная).
! Топографическая съемка производится с помощью электронного тахеометра и навигационного приемника, которым выявляют граничные координаты точек. !
Чтобы топографический план участка появился на бумаге, необходимо провести не только съемку «в полях», но и выполнить камеральные работы. К камерной музыке они имеют такое же отношение, как львенок к Гуглу: под этим термином инженеры-геодезисты понимают выполнение расчетных данных, которые получают с помощью компьютерных и специальных графических программ.
Когда же нужен топоплан?
Итак, чтобы зря сыр-бор не разводить, лишнего не заказывать и без нужного не оказаться, запомните: существует всего 5 случаев, когда топографический план станет жизненно важной бумагой:
- Для получения разрешения на строительство капитального объекта. Нет, конечно, вы можете и «самострой» развести на собственном участке, имея далеко и глубоко ввиду все разрешения за застройку. Но знайте: когда придет время продать, подарить или как-то по другому законным образом разобраться с собственным подворьем, вас или наследников будет ждать тот еще неприятный сюрприз.… Так что лучше все же сделайте топографический план – эдак-то оно спокойнее.
- Пусть еще ничего не строите, пусть. Но чтобы сделать для начала проект будущего «родового подворья» с постройками, тоже без топографического плана участка ни туда, ни сюда.
- Если на землице собственной уже все строено-построено, а вам приспичило подключиться к централизованным канализационным, водопроводным или газовым линиям, можете не сомневаться – без топоплана в профильные эксплуатационные организации нечего и соваться. Кстати, решитесь перепланировать подземные коммуникации, тоже сделайте такой план.
- Мечтаете узаконить «лишние» сотки по «дачной амнистии»? А че мечтать – делайте топоплан, и вперед – благословясь да помолясь!
- Когда дом стоит, банька топиться, а в тепличке зреют помидоры, самое время подумать о ландшафтном дизайне. Вот для этого и заказывают ландшафтную топосъмку, по которой делают одноименный топоплан. Правда, он более подробный, в М 1: 100 или 1: 200 (что б хорошо каждый кустик и деревце видно было бы).
! В целом, запомните простую истину – без топографического плана вам не видать кадастрового плана, как собственных лопаток. !
Где ж заказать вам топоплан?
Сегодня существует масса частных геодезических организаций и индивидуалистов инженеров-геодезистов, готовых выполнить и топографическую съемку, и камеральные работы и, создать топографический план участка, как итоговый результат трудов своих праведных. Но и у тех, и у других не забудьте испросить лицензию на такие виды работ.
И чтобы организация или частное лицо приступило к работе, необходимо предоставить им следующие документы:
- техническое задание; (выглядит так)(обычно заполняется вами или в гео-компании на их бланке)
- правоудостоверяющие (либо правоустанавливающие) документы на землю и объекты всех совладельцев;
- при наличии, техпаспорт БТИ (если есть строения);
- ксерокопию паспорта (или копию учредительных документов);
- копия доверенности (если заказывает не владелец участка).
Цена топографического плана
Стоит план у всех по-разному. Ну, во-первых, всяк труд свой оценивает по-своему. Во-вторых, конечная цена зависит от объема работ и от местности, где они выполняются. Понятное дело, что в столице это одни деньги, а в глуши сибирской – другие. Да еще и рубль с долларом сегодня, помниться, такие «качели» устроили, что цифру назвать – вас обмануть.
Поэтому давайте так: стоимость топоплана и у «контор», и у ИП зависит от:
- масштаба;
- площади территории;
- от количества капитальных строений;
- удаленности от города;
- протяженности подземных коммуникаций на участке;
- в бумажном или электронном виде получите заказ;
- рельефа местности.
! Кстати, есть одна хорошая новость – стоимость этой работы не зависит от сезона – зимой и летом вы обойдетесь одним «рублевым цветом». Ну, если «зеленый» не подведет, конечно!
А когда вожделенный топографический план участка будет согревать ваши ручки, не держите его при себе, как любимую – снесите-ка его в архитектурный отдел, что находится в местном органе самоуправления, и будет вам счастье…
Для тех кто любит покопаться в нормативно-правовых документах размещаю закон о геодезии и картографии.
